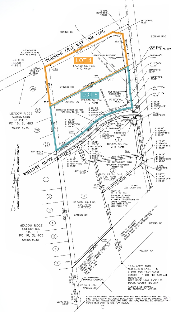
Discover the development potential on NC 5 in rapidly growing Aberdeen. This offering includes two lots with frontage on NC 5—the main route between Aberdeen and Pinehurst. Lot 5 also has frontage on Whitney Drive, the entrance to Meadow Ridge, a 150+ home neighborhood, while Lot 4 has frontage on Turning Leaf Way. The sites offer excellent visibility, easy access to US 1/15-501, and are less than a mile from Martin Farms, a future community of 500+ planned residential units. Boasting a traffic count of 14,000 AADT, these lots present a rare opportunity to invest in a fast-developing area.
Land is cleared, water available at the road.

